Sklypas (namų valda), Spenglos g., 34.68a

Trakų r. sav., Kalvių k., Spenglos g.
Продано
Адрес
  • Mуниципалитет: Trakų r. sav.
  • Деревня: Kalvių k.
  • Yлица: Spenglos g.

Общая информация
  • Площадь (а): 34,68 a
  • Вид: Продажа
  • Назначение участка:Жилая земля

Особенности
  • Электричество
  • Геодезические измерения
  • Вода

Описание

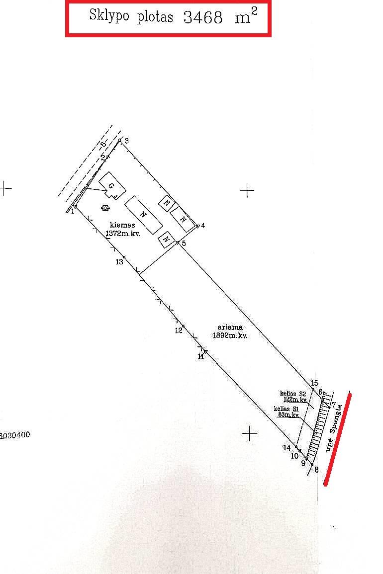
Parduodamas didelis namų valdos paskirties sklypas 34,68 arų su užregistruotais pastatais, ribojantis su upe Spengla.

Kartu parduodamas ir priešais esantis žemės ūkio paskirties sklypas, 21,27 arų.

 

GRAŽI VIETA Jūsų NAMUI, PIRTELEI, SODYBAI AR ... TIESIOG POILSIUI !!!

 

INFORMACIJA APIE SKLYPĄ:

* Adresas: Trakų r.sav., Rūdiškių sen., Kalvių km., Spenglos g. 3

* Sklypo plotas: 34,68 arų;

* Sklypo paskirtis: NAMŲ VALDA;

* Atlikti geodeziniai - kadastriniai matavimai;

* Sklype stovi pastatai:

- gyvenamasis namas apleistas, 66 kv.m. užstatyto ploto.

- ūkiniai pastatai gero stovio: kluonas 86 kv.m. (1976m.), du kiemo rūsiai (akmeniniai) ir tvartas 35kv.m. (1918m.)

* Sklypas ribojasi su keliu ir upe;

 

PRIVALUMAI:

* Elektra palei Spenglos g.;

* Šulinys

* Geras privažiavimas;

* Puiki kaimynystė;

 

SUSISIEKIMAS

* 32 km iki Trakų miesto;

* 52 km iki Vilniaus miesto;

 

GRAŽI, RAMI, UNIKALI VIETA!!!

 

***************************************************************************************

Mūsų agentūros klientams taikomos ypatingos paskolų sąlygos SEB, Swedbank, Citadele, Luminor bankuose.

***************************************************************************************

Nekilnojamo turto agentūra OPPA

www.oppa.lt

 


Цена

Договориться посмотреть

Стань одним из нас! Присоединяйся к команде брокеров OPPA.