Sklypas (namų valda), Putinų g., 47a, €60000

Vilniaus r. sav., Ryliškių vs., Putinų g.
€60000 (1276,60 €/a)
2025-07-13 Peržiūrėjo: 698
Adresas
  • Savivaldybė: Vilniaus r. sav.
  • Kaimas: Ryliškių vs.
  • Gatvė: Putinų g.

Bendra informacija
  • Plotas (a): 47,00 a
  • Tipas: Pardavimas
  • Sklypo paskirtis:Namų valda

Ypatybės
  • Greta miško

Aprašymas

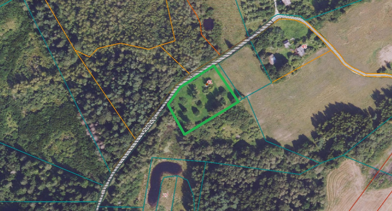
PARDUODAMAS UNIKALUS, ERDVUS NAMŲ VALDOS SKLYPAS GAMTOS APSUPTYJE, VOS 24 KM NUO VILNIAUS CENTRO

Adresas: Putinų g. 41, Ryliškių kaimas, Riešės seniūnija, Vilniaus rajonas
Plotas: net 47 a (namų valda)
Paskirtis: Vienbučių ir dvibučių gyvenamųjų namų statybos teritorija

Išskirtinė gamtos apsuptis – sklypas įsikūręs šalia brandžių miškų, apsuptas medžių ir žalumos. Čia atsiveria nuostabūs panoraminiai vaizdai. Visiškas privatumas – artimiausi kaimynai nutolę per ~200 m.

Brandūs medžiai ir natūrali žaluma – teritorijoje gausu įvairių medžių, kurie suteikia pavėsį ir jaukumo pojūtį. Sutvarkyta želdynų struktūra leidžia iškart mėgautis aplinka.

Puikus privažiavimas – iki sklypo veda prižiūrėtas žvyrkelis, vos 2,5 km iki asfaltuoto kelio, o Molėtų plentas – vos už 4 km.

Sklype registruotas rastinis namas (likučiai) – puiki galimybė statyti naują būstą (galima dvibutį) iš karto. Yra atlikti sklypo kadastriniai matavimai.

Komunikacijos:
Elektra šalia sklypo.
Vanduo / nuotekos – numatyti vietiniai.

Aplinka ir susisiekimas:
Iki Vilniaus centro – apie 24 km (~30–35 min. automobiliu).
Iki Riešės gyvenvietės – apie 10 km.
Netoliese – tvenkiniai, dirbamos žemės laukai, miškingos vietovės.
Solidūs kaimynai.

Tai puikus pasirinkimas ieškantiems savo prabangaus rojaus kampelio - ramybės, gamtos ir privatumo arti Vilniaus.

********************************************************
Skambinti galite Jums patogiu laiku. Nepavykus prisiskambinti, rašykite sms, perskambinsiu.


Kaina
€60000 (1276,60 €/a)

Pasiteirauti dėl apžiūros

Tapk vienu iš mūsų! Prisijunk prie OPPA brokerių komandos.