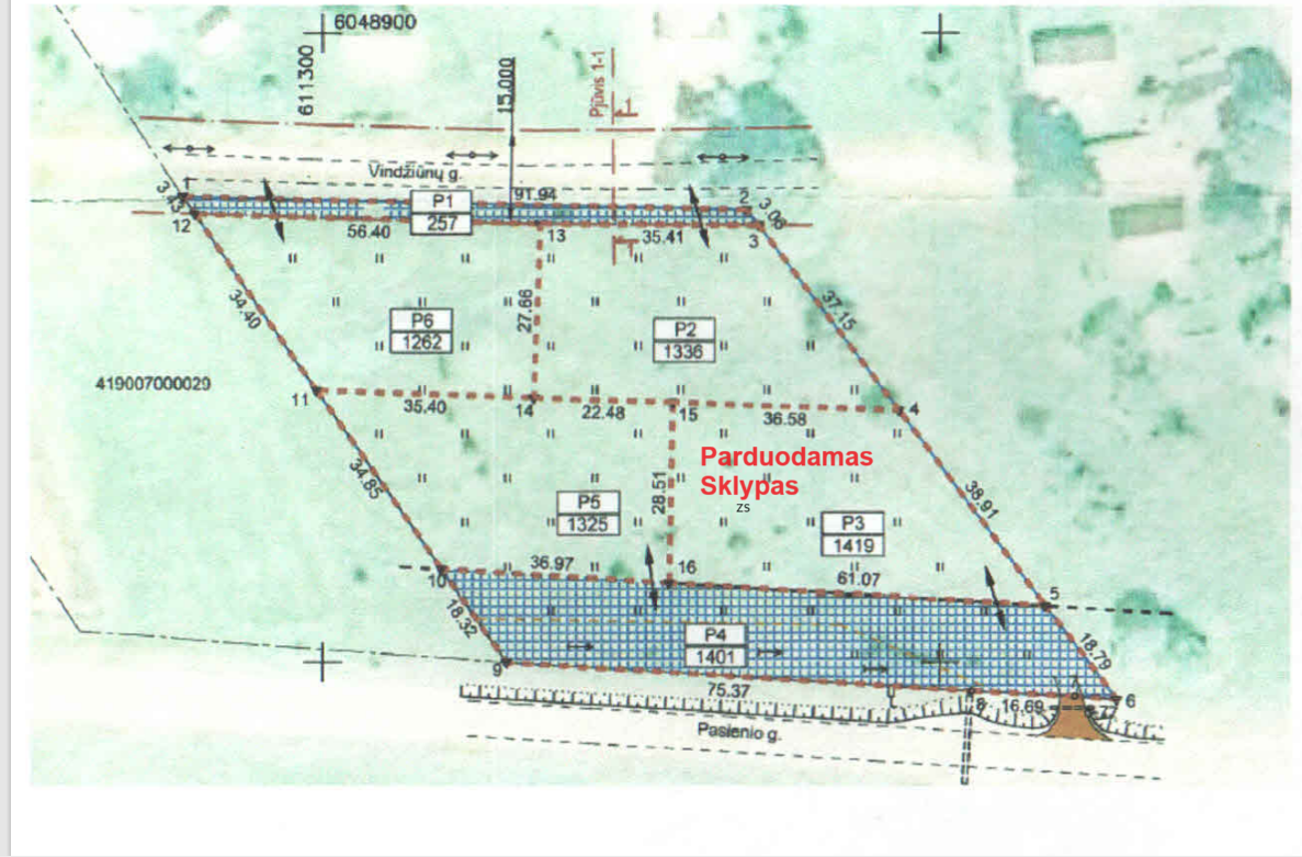
Sklypas (namų valda), Pasienio g., 14a, €8500

Vilniaus r. sav., Vindžiūnų k., Pasienio g.
€8500 (607,14 €/a)
2025-04-02 Peržiūrėjo: 1037
Adresas
  • Savivaldybė: Vilniaus r. sav.
  • Kaimas: Vindžiūnų k.
  • Gatvė: Pasienio g.

Bendra informacija
  • Plotas (a): 14,00 a
  • Tipas: Pardavimas
  • Sklypo paskirtis:Namų valda

Ypatybės
  • Asfaltuotas privažiavimas
  • Kraštinis sklypas

Aprašymas

Parduodamas  Namų Valdos sklypas Vilniaus rajone, Kalvelių sen., Vindžiūnų kaime.

Parduodamas  namų valdos sklypas naujai suformuotame namų valdos sklypų kvartale adresu: Vilniaus r. sav., Kalvelių sen., Vindžiūnų k., Pasienio g. 1 ir Vindžiūnų g. 17.

Galima rinktis iš kelių namų valdos žemės sklypų, tai pat yra galimybe įsigyti servitutinį sklypą už simbolinę kainą ir taip praplėsti savo sklypo ribas.


Paskirtis - namų valda (vienbučių ir dvibučių gyvenamųjų pastatų teritorija).
Atlikti kadastriniai matavimai.
Sklypai taisyklingos formos.
Šalia sklypo praeina elektros linija
Patogus privažiavimas su nuovaža.
Puikus susisiekimas su Vilniaus miesto centru (30 min Minsko pl.).
Kaimynystėje yra pastatyti bei statomi nauji namai.
Belieka tik susiprojektuoti svajonių namą ir pradėti vykdyti statybas.
Ideali vieta ramiam gyvenimui gražioje žalioje vietoje.
Šalia yra parduotuvė.

Keli sklypai parduoti, todėl yra galimybė kartu su būsimais kaimynais bendromis jėgomis vykdyti statybas!!!

Tai pat parduodamas 72 arų žemės ūkio paskirties sklypas gretimame Laukininkų kaime prie pagrindinio kelio. Sklypas taisyklingos formos, tinkamas bet kokiai veiklai bei investicijai.
Daugiau informacijos telefonu: 861414750


Kaina
€8500 (607,14 €/a)

Pasiteirauti dėl apžiūros

Tapk vienu iš mūsų! Prisijunk prie OPPA brokerių komandos.