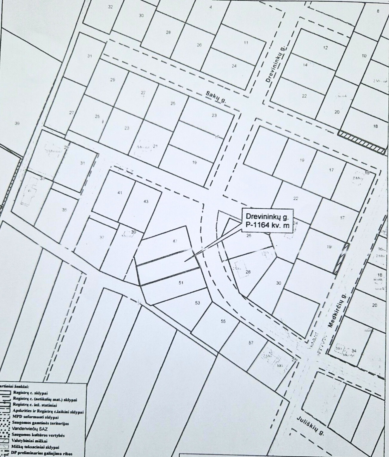
Sklypas (namų valda), Pagiriai, Drevininkų g., 11.48a

Vilniaus m., Pagiriai, Drevininkų g.
Parduotas
Adresas
  • Savivaldybė: Vilnius
  • Miestas: Vilniaus m.
  • Mikrorajonas: Pagiriai
  • Gatvė: Drevininkų g.

Bendra informacija
  • Plotas (a): 11,48 a
  • Tipas: Pardavimas
  • Sklypo paskirtis:Namų valda

Ypatybės
  • Dujos
  • Geodeziniai matavimai
  • Greta miško
  • Visuomeninis transportas

Aprašymas

Smarkiai besivystančioje gyvenvietėje Pagiriuose , parduodamas 11.48 arų ploto sklypas JŪSŲ SVAJONIŲ NAMUI!

11.48 arų sklypas, vienbučių ir dvibučių namų statybai .

Rami kvartalo bendruomenė, estetiška aplinka, žaliųjų zonų gausa.

- Adresas: Drevininkų 49
- Sklypo plotas: 11,48 arų
- Naudojimo pobūdis:vienbučių ir dvibučių namų statyba ;
- Atlikti kadastriniai matavimai;
- Atokiau nuo judrių gatvių;
- Vanduo vietinis
- Elektra : šalia sklypo
- Dujos šalia sklypo.


Daugiau informacijos telefonu.
Nepavykus prisiskambinti, rašykite sms - perskambinsiu.
.O gal norite parduoti savo namą, butą, ar sklypą ir Jūs, paskambinkite.
******************************************************************
Nekilnojamo turto agentūra OPPA.
www.oppa.lt


Kaina

Pasiteirauti dėl apžiūros

Tapk vienu iš mūsų! Prisijunk prie OPPA brokerių komandos.